Размещено на портале Архи.ру (www.archi.ru)

01.11.2019

Тонкая игра

Юлия Тарабарина
Объект:
ЖК «Дом Бакст»
Адрес:
Россия, Москва. Большой Козихинский, 13, стр. 1, 2, 15, стр. 1, 2
Архитектор:
Павел Андреев
Мастерская:
АМ «ГРАН» (Мастерская Павла Андреева)
Авторский коллектив:
Руководитель проекта П.Ю. Андреев, ГАП О.В. Дрябжинский, ГИП С.С.Смирнов; А.Е. Пахомов

Клубный дом в Большом Козихинском, – пример архитектурного разговора о методах и источниках стилизации, врастающей в современные тенденции. С ярким акцентом, вдохновленным работой Льва Бакста для «Дягилевских сезонов».

ЖК «Дом Бакст» – клубный дом, который достраивается сейчас рядом со сквером имени Михаила Булгакова на углу переулков Спиридоньевского и Большого Козихинского, в двух шагах от Патриарших прудов. Он разместился на месте двух домов: одного недорогого доходного 1900-1902 года постройки, другого – конструктивистского, 1920-х годов. Оба были расселены некоторое время назад, не имели охранного статуса, и снесены в 2016, но по требованию Москомнаследия в новой постройке должен был быть отчасти повторен один из домов, доходный, более старый.

Новый комплекс также состоит из двух подчеркнуто разных строений, но если оба разобранных дома были выстроены вдоль Большого Козихинского, поскольку в начале XX века улица развивалась линейно, – то теперь ситуация изменилась: после войны на углу Спиридоньевского переулка снесли дом, там возник Булгаковский сквер, и угол, завершающий Козихинский переулок, сместился. Поэтому новый дом поворачивает в глубину квартала, формируя северную границу сквера.

Схема взаимного расположениия объемов. ЖК Дом Бакст, проект
Схема взаимного расположениия объемов. ЖК Дом Бакст, проект
© АБ Гран

Будучи развернуты под прямым углом друг к другу, здания поменяли образ и значение, совершив, условно говоря, смысловую «рокировку». Корпус вдоль Козихинского, который занял место примерно полутора старых домов, повторяет оконные обрамления фасада 1902 года и его центрическую композицию с подъездом, витражом и подвышением посередине; от круглого окна осталась полуциркульная выемка. Но если дом-предшественник был примером, в общем-то, рядового для своего времени экономного строительства с неоштукатуренным кирпичным фасадом, то новый вариант тех же форм из-за каменных обрамлений окон получил явственный «французский» оттенок, кирпич стал не только воспоминанием о старом доме, но и признаком респектабельности.
ЖК Дом Бакст, проект © АБ Гран
ЖК Дом Бакст, проект
© АБ Гран
ЖК Дом Бакст, проект © АБ Гран
ЖК Дом Бакст, проект
© АБ Гран
ЖК Дом Бакст, проект © АБ Гран
ЖК Дом Бакст, проект
© АБ Гран

Второй корпус вытянут вдоль сквера и поперечно улице, на которую выходит торцом. Выбранная для него стилистика в целом соответствует 1920-м и 1930-м, времени постройки второго дома-предшественника, хотя между ними нет никакого формального сходства – в новом доме ничего нет от лаконичного конструктивизма, он представляет собой вариант популярного в Москве последних десятилетий направления современного ар-деко. Небольшое отступление: представителей этого стиля, развившегося в «буржуазных» Америке и Европе 1930-х как некий противовес смелым поискам авангарда, в Москве 1930-х, строго говоря, почти нет – можно сравнивать с ним постконструктивизм и «сталинский ампир», но все же совпадение неточное, хотя бы по причине известной экономности города индустриализации. Было, было похожее, но все же «не так», как говорил классик.

Поэтому неудивительно, что в Москве 2000-х различные варианты ар-деко популярны: безусловно, многое объясняется тем, что они находят отклик в сердцах заказчиков и покупателей столичного центра, но в этом процессе также видится некий род компенсации упущенного стилевого направления. К тому же оно позволяет значительные вольности, к примеру, атектоничную «помпеянскую» трактовку ордера – и, с другой стороны, неплохо вписывается в контекст современной тяги к орнаменту, резьбе, пластике, всему, что насыщает поверхность фасада. В данном же случае в появлении «ардекошного» дома на месте конструктивистского ощущается определенная историческая логика, один дом 1920-х заменяют другим, апеллирующим к тому же периоду, но в широком диапазоне: если приглядеться, то дом как будто «растянут» во времени лет на сто с небольшим.
Южный фасад (со стороны сквера). ЖК Дом Бакст, проект
Южный фасад (со стороны сквера). ЖК Дом Бакст, проект
© АБ Гран

Самый яркий элемент комплекса – в прямом и переносном смыслах – живописные панно венчающих этажей. Их исполнила художник-монументалист Татьяна Кудрина методом многослойной ручной росписи по керамограниту, а мотив заимствован из театральной ширмы Льва Бакста к балету «Полуденный отдых фавна», поставленного Дягилевым в Париже в 1912 году. Это уже не модерн, но и не вполне неоклассика, а в получившихся панно прочитываются ноты и Густава Климта, и Макса Клигера, а при взгляде снизу, с улицы, вверх – москвичу они обязаны, конечно, напомнить «Метрополь», хотя там – майолики Врубеля и появились они на 10 лет раньше, чем ширма Бакста. Но дом в итоге получил поэтическое название, которое вовсе не было придумано маркетологами, а произошло именно от предложенных архитектором Павлом Андреевым панно – ЖК «Бакст».

Панно сопровождены орнаментами, некоторые из которых напоминают Кандинского, некоторые Билибина, а третьи, на ризалитах, так и вовсе представляют собой реплики византийского мозаичного декора. В данном случае они образуют своего рода легкую живописную корону, пламенеющее венчание, как следует из авторских эскизов, где объем дома тянется к венку пейзажей аттикового яруса.
ЖК Дом Бакст, проект © АБ Гран
ЖК Дом Бакст, проект
© АБ Гран
ЖК Дом Бакст, проект © АБ Гран
ЖК Дом Бакст, проект
© АБ Гран
ЖК Дом Бакст, проект © АБ Гран
ЖК Дом Бакст, проект
© АБ Гран
ЖК Дом Бакст, проект © АБ Гран
ЖК Дом Бакст, проект
© АБ Гран
ЖК Дом Бакст, проект © АБ Гран
ЖК Дом Бакст, проект
© АБ Гран
ЖК Дом Бакст, проект © АБ Гран
ЖК Дом Бакст, проект
© АБ Гран

Металлические обрамления цвета зеленоватой патинированной бронзы, напоминают венские оранжереи и пассажи XIX века. Они подчиняют себе образность аттикового этажа и центральной части с вытянутыми декоративными колонками – в этих частях, акцентированных по центральной оси двух фасадов, узкого стройного уличного и широкого, обращенного к скверу и обрамленного двумя ризалитами южного «паркового», расположены гостиные, в том числе двусветные. В доме, к слову сказать, предусмотрены и двухуровневые квартиры, в верхних частях ризалитов.
ЖК Дом Бакст, проект © АБ Гран
ЖК Дом Бакст, проект
© АБ Гран
ЖК Дом Бакст, проект © АБ Гран
ЖК Дом Бакст, проект
© АБ Гран
ЖК Дом Бакст, проект © АБ Гран
ЖК Дом Бакст, проект
© АБ Гран

Все вместе больше всего напоминает эпоху расцвета и декаданса, предмет ностальгии – время перед Первой мировой «около 1913 года», – когда модерн, «Вишневый сад», и даже расцвет «Мира искусства» уже в прошлом, но еще недалеко, когда уже появилась абстрактная живопись, но не все еще в курсе. Это время шляпок с вуалью, духов, пудры, театра, конфетных коробок; и фотографий, желтоватых, но очень четких – их воспроизведения столь часто встречаются в современных краеведческих изданиях, многие скучают по ним, по 1913 году как по утраченному Золотому веку. Ностальгическую ноту архитекторы понимают хорошо и сопровождают проект иллюстрацией, напоминающей выцветший старый отпечаток, окутывая дом романтикой вменённых воспоминаний, формируя слои восприятия, и в то же время как будто проверяя – похоже ли? Удалось ли вписаться?
ЖК Дом Бакст, проект
ЖК Дом Бакст, проект
© АБ Гран

И удалось, и похоже, но как-то ускользает основной прообраз. Возможно потому, что его нет, а дом собран из нескольких слоев, разделенных примерно веком. Один из таких слоев – разобранный конструктивистский дом по Большому Козихинскому: во-первых, у него было два симметричных ризалита, во-вторых, их окна были тонкими, вертикальными, всё как и здесь. Удивителен сам факт их появления: если тот дом действительно был построен в 1920 году, то они могли быть «пережитком» 1910-х, или их могли пристроить в начале 1930-х, уже как элемент постконструктивизма. Этот структурный элемент старого дома получает отклик в новом корпусе – а не только окна доходного дома, как просили в МКН.

Все это довольно непросто, необходимо не только знать и любить историю и фактуру эпохи, но и иметь практический опыт реализации подобных реплик: такой опыт у авторов есть, вспомним, к примеру, фасад гостиницы «СтандАРТ» на Страстном бульваре, в котором использованы элементы из увражей Петра Дмитриевича Барановского. Подобные знания, позволяющие оперировать аллюзиями, определенно есть. На риелторском сайте архитектор – а заметим, это тот случай, когда заказчик достаточно подробно представил автора на сайте дома – Павел Андреев назван «самым тонким стилизатором из современных московских архитекторов». Что ж, с этим можно согласиться. Здесь партитура сыграна на нескольких темах, и одна из них – современный декоративный стиль, на который указывают прежде всего каменные филенки с резным растительным орнаментом.

Два элемента выполняют роль главных связующих звеньев – это деликатно рустованный горизонталями каменный первый этаж, общий у двух корпусов; камень в нем темнее, чем а основной, орнаментированной, части. Второй вид «клея» – уже упомянутые «медно»-металлические части: аттиковые этажи объединены металлом и цветными вставками. Металл появляется и в стыках между корпусами, разделяя и в то же время объединяя согласно логике периметрально-квартального морфотипа застройки.

Арки ведут в небольшой двор, площадью около 550 м2, типичный квартальный двор исторического города. В нем запланировано многоуровневое благоустройство с помостом, деревом в центре и пышной зеленью на высоких постаментах, даже с миниатюрным фонтаном типа нимфеум. В первом этаже корпуса, обращенного к скверу, собственно дома с пейзажами Бакста, устроена глубокая лоджия для жильцов: полузакрытое пространство, спрятанное от города за деревьями, что делает его отчасти приватным; благодаря южной ориентации она может быть часто освещена солнцем, рисующим здесь причудливые узоры тенями витражных решеток. На кровле между ризалитами над этой, центральной частью дома, запланирована открытая терраса.
ЖК Дом Бакст, проект © АБ Гран
ЖК Дом Бакст, проект
© АБ Гран
ЖК Дом Бакст, проект © АБ Гран
ЖК Дом Бакст, проект
© АБ Гран
ЖК Дом Бакст, проект © АБ Гран
ЖК Дом Бакст, проект
© АБ Гран
ЖК Дом Бакст, проект © АБ Гран
ЖК Дом Бакст, проект
© АБ Гран

Внутри, в общественных зонах сохраняются бронзовые – но уже не патинированные, а полированные и со вставками цветного и фигурного стекла – рамы, рисунок которых местами напоминает обобщенный Сецессион. Современность сосуществует с оттенком ретро: стеклянные цветные «пузыри» люстры на золотом фоне, хотя и соседствуют с бежевыми филенками на стенах и лампами, напоминающими о 1930-х, но апеллируют не столько о чувственности интерьеров начала века, сколько к ярким опытам Филиппа Старка. Зато стойка главного ресепшна с «мятой тканью» полосатого фона и асимметричным кристаллом бюро полностью возвращает нас в XXI век, слегка встряхивая, будит от ностальгии, навеянной фасадом. Как будто в дом, где даже отчасти сохранилась обстановка XX века, причем местами сложно сказать, где 1910-х, где 1930-х, а где и 1980-х, встроили фрагмент чего-то остро-нового.
ЖК Дом Бакст, проект © АБ Гран
ЖК Дом Бакст, проект
© АБ Гран
ЖК Дом Бакст, проект © АБ Гран
ЖК Дом Бакст, проект
© АБ Гран
ЖК Дом Бакст, проект © АБ Гран
ЖК Дом Бакст, проект
© АБ Гран

Патриаршие пруды – место, прямо скажем, требовательное во многих отношениях. Мало того, что от дома с «нехорошей квартирой» на Садовой до пруда здесь через шаг – Булгаков; вот и сквер так называется. Рядом Триумфальная и Москомархитектуры и много что еще, дом Тарасова, особняк Морозовой, собственный дом Жолтовского, наконец. И в то же время именно в этих местах, в престижном районе, новое строительство оказалось более чем изобильным и разномастным. Сергей Ткаченко, мастер самых ярких вещей московского постмодернизма, построил неподалеку свой дом «Патриарх», а прямо напротив сквера Булгакова и строящегося ЖК «Дом Бакст» – МФК «Сад-Лабиринт», похожий на телескопическую трубу из мультфильма. Вокруг достаточно и бывших доходных домов средней руки, и вставок периода конструктивизма, но и градус фантазирования, пожалуй, в округе тоже уже превышен. Строить в таком окружении, безусловно, непросто, здесь «много историй». Поэтому и требовалось предложить нечто элегантное, не спорящее к окружением, но и не теряющее своего голоса, что для клубного дома тоже, конечно, недопустимо. Так возникли «Дягилевские сезоны», тема по-своему безупречная, и время привлекательное, серебряный век, золотистый театр. Поэтому потребовались тонкие линии, яркие акценты, легкие вертикали. И довольно любопытный эффект точки соприкосновения между современным декоративизмом и отсылкой к началу века – без итоговой ретро-точки, и без подчеркнутой современности, скорее steampank, рефлексирующий о жизни до мировых войн.
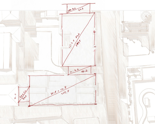
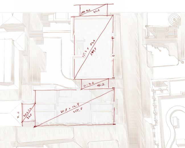
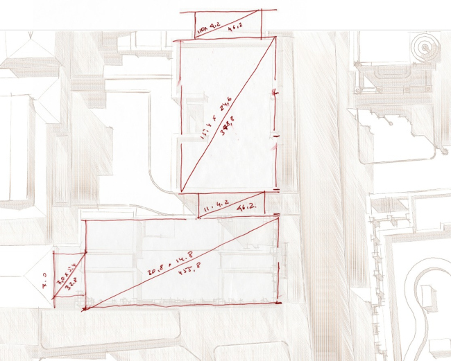
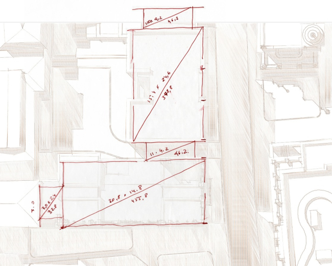
Ситуационный план. ЖК Дом Бакст, проект © АБ Гран
Ситуационный план. ЖК Дом Бакст, проект
© АБ Гран
Эскиз планировки. ЖК Дом Бакст, проект © АБ Гран
Эскиз планировки. ЖК Дом Бакст, проект
© АБ Гран
План 1 этажа. ЖК Дом Бакст, проект © АБ Гран
План 1 этажа. ЖК Дом Бакст, проект
© АБ Гран
План 4 этажа. ЖК Дом Бакст, проект © АБ Гран
План 4 этажа. ЖК Дом Бакст, проект
© АБ Гран
План 5 этажа. ЖК Дом Бакст, проект © АБ Гран
План 5 этажа. ЖК Дом Бакст, проект
© АБ Гран
План 6 этажа. ЖК Дом Бакст, проект © АБ Гран
План 6 этажа. ЖК Дом Бакст, проект
© АБ Гран
Разрез 3-3. ЖК Дом Бакст, проект © АБ Гран
Разрез 3-3. ЖК Дом Бакст, проект
© АБ Гран
Разрез 4-4. ЖК Дом Бакст, проект © АБ Гран
Разрез 4-4. ЖК Дом Бакст, проект
© АБ Гран