|
The high-end residential complex in the Bolshoi Kozikhinsky Lane is an example of an architectural conversation about the methods and sources of stylization, merging with the modern architectural trends. Now add to this a bright highlight inspired by the work by Leo Bakst for “Diaghilev Seasons”.
The housing project “Dom Bakst” is a high-end residential complex that is now being completed next to the Mikhail Bulgakov Park at the crossing of Spiridonyevsky and Kozikhinsky lanes, literally two steps away from the Patriarchy Ponds. Its place was occupied back in the day by two houses: an inexpensive tenement built in 1900-1902, and a constructivist one, built in the 1920’s. Having no protected status, both were torn down in 2016, but, upon the demand of Moscow Cultural Heritage Committee, the new building was to at least partially repeat some of the features of the older tenement house.
The new complex also consists of two ostentatiously different buildings, but, while the two dismantled houses stood alongside the Bolshoi Kozikhinsky Lane, because in the early XX century the street was developing linearly, now the tables have turned: in the postwar time, they tore down a house standing on the corner of the Spiridonyevsky Lane, the Bulgakov Park appeared in its stead, and the corner, which completed the Kozikhinsky Lane, got shifted. This is why the new house is turned inside the block, forming the north border of the little park.
 Mutual situation of the volumes. Bakst Residential Complex, projectCopyright: © Gran
Standing at a right angle in respect to one another, the buildings changed their image and meaning, making, figuratively speaking, a conceptual reshuffle. The building that stands along the Kozikhinsky Lane, occupying a place half again as big of the old houses, repeats the window frames of the 1902 facade and its centric composition with a grand entrance, a stained glass window, and an elevation in the middle; what was left from the circular window is a semicircular cutaway. However, while the predecessor house was an example of rank-and-file economical construction of its days, with an un-stuccoed brick facade, the new version of the same shapes got a prominent “French” feel thanks to the stone window frames; the brick became not so much a memory of the old house as a sign of respectability.
Bakst Residential Complex, projectCopyright: © GranBakst Residential Complex, projectCopyright: © GranBakst Residential Complex, projectCopyright: © Gran
The other building stretches along the park and crosswise to the street, which it overlooks with its side end. The style that the architects chose for it generally matches that of the 1920’s and 1930’s, the time when the other predecessor house was built, even though there isn’t any formal similarity between them – the new building has nothing laconically constructivist about it whatsoever; essentially it is yet another version of modern Art Deco that has been popular in Moscow in the recent years. A little digression: buildings of this style, which was in fact developing at that time in the “bourgeois” Europe and America, as some kind of an offset to the brave avant-garde experiments, were practically nonexistent in Moscow of those days – one can compare it to post-constructivism and “Stalin Empire style”, yet still the match is imperfect, at least because of the fact that during the industrialization period the city had to use its resources sparingly. Yes, there were things of a similar character indeed, but not the exact matches.
This is why it comes as no surprise that in Moscow of the 2000’s different versions of Art Deco are very popular: of course, much is explained by the fact that many developers and buyers living in the nation’s capital have a soft spot for such buildings, yet one can also see in this process some sort of catching up on the missed architectural trend. In addition, it allows for considerable “liberties”, such as non-tectonic “Pompeiian” interpretation of the order – and, on the other hand, fits in pretty nicely with the context of the modern love of ornaments, carvings, plastique, and everything that embellishes the facade surface. And in this specific case the fact that an Art Deco house came to replace a constructivist one does make some historical sense – one house of the 1920’s is replaced with another, which can be also traced back to the same historical period, yet on a greater scale: if we take a closer look, we will see that the house is stretched in time over a period of about a hundred years.
South facade. Bakst Residential Complex, projectCopyright: © Gran
The highlight of the complex – both figuratively and literally – are the decorative panels mounted on the top floors. These were the executed by the muralist artist Tatiana Kudrina by the method of manual multilayered painting over ceramic granite, the motif being inspired by the Leo Bakst stage screen from the ballet “The Afternoon of a Fawn” produced by Sergey Diaghilev in Paris in 1912 . This is not Art Nouveau already, yet not quite neoclassical; the artistic panels display the notes of Gustav Klimt and Max Klinger, and, if one is to look from below, from the street, any muscovite will see in them allusions to the Metropol Hotel, even though, to be precise, it sports majolica panels by Vrubel, and these appeared ten years earlier than the Bakst screen. However, the house ultimately got a poetic name that was not invented by the marketing department but comes from the decorative panels proposed by the architect Pavel Andreev – “Bakst”.
The panels are accompanied by ornaments, some of which resemble Kandinsky, some Bilibin, and some, which are on the projections, even look like replicas of Bysanthian mosaic decor. In the latter case, they form something like a light picturesque flame-like crown, where the volume of the buildings – as is seen in the author’s sketches – reaches towards the garland of the landscapes in the attic tier.
Bakst Residential Complex, projectCopyright: © GranBakst Residential Complex, projectCopyright: © GranBakst Residential Complex, projectCopyright: © GranBakst Residential Complex, projectCopyright: © GranBakst Residential Complex, projectCopyright: © GranBakst Residential Complex, projectCopyright: © Gran
The metallic frames the color of green patinated bronze put one in the mind of Viennese greenhouses and passages of the XIX century. They dominate the imagery of the attic floor and the central part with its stretched-out decorative little columns – in these parts, accentuated along the central axis of the two facades, the slim and slender street-side one, and the broad southern one, turned to the park and flanked by two projections. It must be noted that the house also has two-level apartments in it, in the top parts of the mentioned projections.
Bakst Residential Complex, projectCopyright: © GranBakst Residential Complex, projectCopyright: © GranBakst Residential Complex, projectCopyright: © Gran
All of this taken together looks like the golden age of decadence, a subject for nostalgia – the time before World War I, “about 1913” – when Art Nouveau, “The Cherry Garden”, and even the best days of the “World of Art” magazine are already history, yet not long gone, when abstract paintings are the next big thing, yet not everyone is quite aware of the fact. This is the time of veiled bonnets, fragrances, first nights, and candy boxes, as well as photographs – yellowish, yet already with a great resolution – their representations are often met in modern books published by the students of local history, many people miss that time and think about it as indeed the Golden Age. The architects know this nostalgic note really well, accompanying the project with an illustration that looks like a faded fingerprint, enshrouding the house with the romance of these reminiscences, and forming layers of perception, at the same time always checking – does it really look like the real thing?
Bakst Residential Complex, projectCopyright: © Gran
And, yes, it does look like the real thing, yet the main prototype somehow evades one’s attention. Probably because it’s nonexistent, the house being composed of several layers lying about a century apart. One of such layers is the constructivist house standing on the Bolshoi Kozikhinsky Lane: first, it did have two symmetrical projections, and second, the windows in them indeed were slim – exactly the way it is repeated here. What is surprising, though, is the very fact of their appearance: if that “old” house was really built in 1920, they might have been the “legacy” of the 1910’s, or, as the case might be, they could have been added in the early 1930’s, yet already as a post-constructivist element. The new building addresses this structural element as well – not only the tenement windows as requested by Moscow Cultural Heritage Committee.
All of this seems rather complicated – one has to be not only quite at home with the history and the texture of that epoch, but also have practical experience of implementing such replicas: the architects do possess such experience – things that come to mind are the facade of StandART Hotel on the Strastnoi Boulevard that uses elements of illustrated deluxe editions by Peter Baranovsky. Such knowledge, which allows them to freely conjure these allusions, is definitely something that the architects have. The realtor website – and we will note here that this is the rare occasion when the developer features the architect on his website – describes him as “the most subtle stylization artist of all the Moscow architects”. Well, he arguably is. The piece is played out in several leitmotifs, one of them being the modern decorative style, which is indicated first of all by the stone partitions with carved floral ornaments.
The two elements play the part of the main connecting links – this is the first floor sporting a delicate rock-face pattern of horizontal stripes, underlying beneath both buildings; its stone is darker than in the main ornamental part. The second type of “glue” is the already-mentioned “brass” metallic parts: what the attic floors have in common is the metallic parts and color inserts. The metal also shows up in the joints between the units, separating them and at the same time uniting in full accordance with the logic of perimeter city-block construction morphology type.
The arches lead to a small yard with an area of about 550 square meters, a typical yard of a historical city. The yard will be landscaped on several levels, with a boardwalk, a tree in the middle, lush vegetation on tall pedestals, and even a miniature nymphaeum. In the first floor of the building that overlooks the park, the Bakst house itself, there is a large recession for the residents, a semi-closed space hidden from the city behind the trees, which makes it partially private; thanks to its southward orientation, it will be often lit by the sun that will draw here intricate patterns of the shadows of the stained glass windows. The space on the roof between the two projections and this central part of the building will contain an open air terrace.
Bakst Residential Complex, projectCopyright: © GranBakst Residential Complex, projectCopyright: © GranBakst Residential Complex, projectCopyright: © GranBakst Residential Complex, projectCopyright: © Gran
On the inside, the public zones will retain the brass frames – only not patinated but polished, and with inserts of colored and figured glass – whose pattern sometimes resembles a stylized Secession. The contemporary coexists with a slight retro note here: the colored glass bubbles of the chandeliers against a golden background, although neighboring on beige partitions and lamplights putting one in the mind of the 1930’s, refer us not so much to the sensuous interiors of the early XX century, as to the bright experiments by Philip Starke. On the other hand, the main reception desk with its “soft fabric” of striped background and asymmetric crystal of the bureau totally brings us back to the XXI century, as if shaking us up a little bit; awakening us from the nostalgia inspired the building’s facade. As if somebody took a house that partially retained the decor of the XX century, some places from the 1910’s, some – from the 1930’s, and some – even from the 1980’s, and inserted some cutting edge fragment into it.
Bakst Residential Complex, projectCopyright: © GranBakst Residential Complex, projectCopyright: © GranBakst Residential Complex, projectCopyright: © Gran
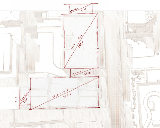
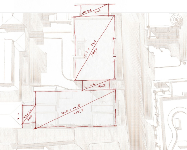
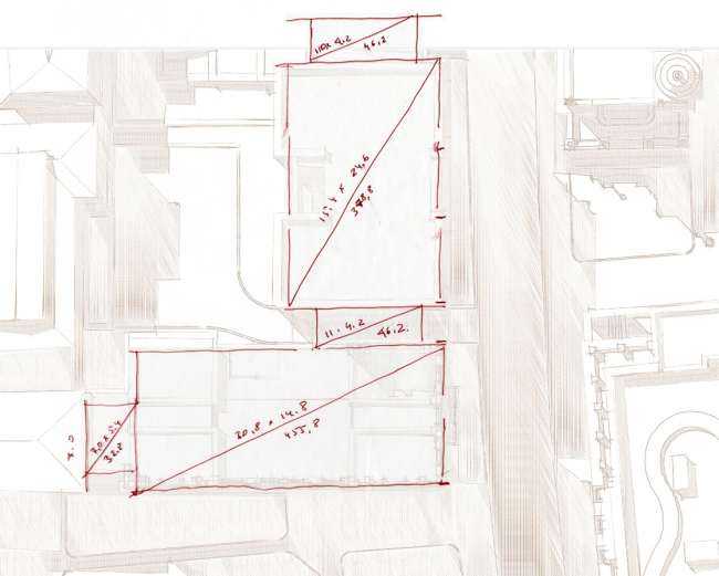
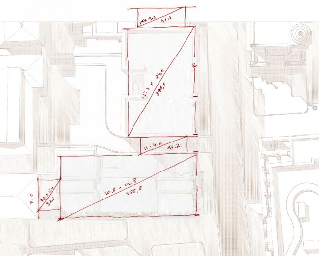
The Patriarchy Ponds are, of course, a very obliging place in every respect. The proverbial “evil apartment” from Bulgakov’s classic “Master and Margaret” is literally one step away; the park also bear the name of the iconic author. Nearby are the Triumfalnaya Square, the building of Moscow Architectural Committee, Tarasov House, Morozova Mansion, and, last but not least, Zholtovsky’s own house. At the same time, it is in this specific location and in this prestigious area that the new construction turned out to be so intense and so diverse. Sergey Tkachenko, the master of the brightest things of Moscow postmodernism, built his “Patriarch” house nearby, and right across the Bulgakov Park and the in-construction “Bakst” – the mixed-used development “Labyrinth Garden”, that looks like some cartoon telescope. All around, there are plenty of ex-tenements of a rather average type, and later constructivist additions, with more than enough fantasy additions as well. Building in such environment is, of course, quite a challenging thing to do, simply because there are lots of “stories” here. And this is exactly why the architects were to come up with something graceful, not conflicting with its surroundings yet at the same time having a voice of its own, which is a must for a high-end housing complex. This is how the Diaghilev Seasons came about, a theme immaculate in its way, with its attractive epoch, Silver Age, and Golden Theater. And this is why thin lines, bright accents, and light verticals were needed. And a rather curious effect of a meeting point of the modern decoration art and a reference to the beginning of the previous century – without the final retro statement, not prominently contemporary, but rather steam punk that meditates on life the way it was before the two world wars.Location plan. Bakst Residential Complex, projectCopyright: © GranSketch layout. Bakst Residential Complex, projectCopyright: © GranBakst Residential Complex, projectCopyright: © GranBakst Residential Complex, projectCopyright: © GranPlan of the 5th floor. Bakst Residential Complex, projectCopyright: © GranPlan of the 6th floor. Bakst Residential Complex, projectCopyright: © GranSection view 3-3. Bakst Residential Complex, projectCopyright: © GranSection view 4-4. Bakst Residential Complex, projectCopyright: © Gran
|